Sexta-feira, 31 de Agosto de 2012
NOVO DIA NOVA IMAGEM . escreve Tó Manel

Meus caros,

ÚLTIMO DIA DE AGOSTO, ÚLTIMA FOTO.
Acabaram as férias...
Mas ainda dá para mostrar a aranha que, durante quase um Verão inteiro, teceu uma teia na janela do meu quarto e "papou" as melgas que procuravam entrar... (Pela janela.)
Saúde!
Tó Manel
 
NR
1
Resta saber quantas comeu por dia.
A fome das aranhas - os aranhos? - é mais insaciável que a dos homens?
Será que se limitou, tal como o progenitor ( ela só existe, a sua  imagem, porque tu lhe dás vida) a uma por dia?
Abraço e obrigado.
Quer dizer, podes continuar!
Todos os dias, claro!
2
Um enorme obrigado a todos os que possibilitaram tornar realidade a contínua edição neste "ferial" mês de Agosto, para além dos noticiados percalços.
O obrigado estende-se não só aos que contribuiram mas, também, claro, aos que nos tiveram como sua leitura de todos os dias.
antónio colaço


publicado por animo às 09:38
link do post | comentar | favorito

Quinta-feira, 30 de Agosto de 2012
NOVO DIA NOVA IMAGEM . escreve Tó Manel

Meus Caros,

NOVO DIA, NOVA IMAGEM.

Resina: uma riqueza a que ninguém liga. Há 35 anos, um kg de resina valia 45$00; hoje, vale 750$00 (3,75€) e as técnicas de exploração não exigem tanto trabalho.

Não ia sendo tempo de os proprietários florestais - e o Ministério da Agricultura - repensarem estratégias?

Abraços

Tó Manel



publicado por animo às 22:48
link do post | comentar | favorito

ADEUS, VALE

 Adeus, Vale.

 

Bora até Lisboa..

 

 



publicado por animo às 22:48
link do post | comentar | favorito

Quarta-feira, 29 de Agosto de 2012
MEMÓRIAS DA MEMÓRIA

Vinha do Amorim Lopes, Ventosa, Mação.Um destes dias.


Isto não se faz, Amorim!
Era lá na tua formosa vinha que eu gostava de ter amanhecido contigo a acariciares as tuas ainda orvalhadas uvas.
E que sensuais que elas se apresentam a quem por ali passa convidando-nos para que as saboreemos nas tuas tantas e solidárias taças.

Sinto-me cada vez mais desenraizado e sem Pátria, meu caro Amorim.
Não é tanto porque em Abrantes, Mação, e, em breve, também Lisboa, ninguém mais se lembre de mim.
É não ter ainda percebido que só nos tornamos memória se, de todo, deixarmos de continuar a fazer história.
Aquela do "quem não aparece, esquece", "tás a ver"?!
Vale das Árvores.Uma das minhas mais generosas videiras moscatel.

Dizias-me, há dias, que já não "ligas ao Mação!".
Como outros amigos que "já não ligas a Abrantes" e por aí adiante.

Deixa lá, um destes dias afogo as mágoas de sexagenário principiante no revigorante sumo das tuas uvas e ver-me-ás, de novo, a arregaçar as mangas, a deixar de lado as aparentes luvas com que pareço evitar meter o "agulhão" no quotidiano (obrigado, Vitor Alexandre ) .
Obrigado.
antónio colaço

 



publicado por animo às 17:28
link do post | comentar | favorito

ACTUALIZAÇÃO

Acabámos de actualizar os "(RE)ENCONTROS NO VALE"!



publicado por animo às 13:29
link do post | comentar | favorito

NOVO DIA NOVA IMAGEM . escreve Tó Manel

Meus caros,

NOVO DIA, NOVA IMAGEM. Depois do fogo de ontem, a água.
 
NR-Houve aqui um desacerto da redacção.As nossas desculpas-Voltamos a duas por dia...)
 
 A pouca água da barragem do Vergancinho, perto de Cardigos. (Hoje, dia 29/08/2012, às 9h 30m.)
Em contrapartida, a praia fluvial - transformada em piscina fluvial - está cheia e pronta a poder ser utilizada no próximo fim de semana. (Nem tudo é mau. Voltarei ao assunto muito brevemente.)
Saúde.
Tó Manel

 

 

 

Meus caros,

NOVO DIA, NOVA IMAGEM. Eis o forno que se prepara para transformar a farinha em broa. (Que não vou mostrar. Queriam...)
Saúde!
Tó Manel


publicado por animo às 00:00
link do post | comentar | favorito

Terça-feira, 28 de Agosto de 2012
ADIVINHA QUEM VEIO ALMOÇAR. (ACTUALIZAÇÃO)...

Fotos Carlos Diogo

 

- Mário, achas que nós os dois damos cabo desta cremosa tigelada?!

 

Pois foi, esta tigelada, alguns enchidos de Mação, sardinha fresquinha a saltar ... para a brasa e para o mar, como que a querer regressar, tigeladas de Abrantes e muito vinho branco fresquinho, de mãos dadas com seleccionados tintinhos, assinalaram o encerramento da época balnear no Vale das Árvores, em Mação!

Foto JC

-Ah!Afinal havia mais candidatos a derrotar a tigelada feita pela prima Céu, que, aliás, nos fez subir ao céu...das nossas gulosas boquinhas.

Aqui o Manel Domingues jura a pés juntos que vai estar em Alcains 2013!

 

 

A conversa que se segue foi um pouco mais rápida, já que a maquineta que agora utilizamos não se aguenta nas canetas do youtube!!!
Abraços!

 

 

 

 

 

 

 

 

 

 

 

 

 

 

 

 

 

 

 

 

 

 

 

 

OS REENCONTROS DO VALE
Com muita pena nossa ainda não foi este ano que retomámos o Piquenique de Verão ali para as bandas da Isna de S.Carlos ou qualquer outra aprazível praia fluvial da nossa zona do Pinhal.
(Não é por nada mas....o 11 de Setembro de 2010 ainda está bem vivo...)
De qualquer forma, a caminho de Alcains2013, foi possível reencontrarmo-nos, hoje, no Vale das Árvores, Mação.
Bem que gostaríamos de juntar muitos mais amigos.
Então não é que nos esquecemos dos 60 festejados a semana passada pelo nosso amigo Zé Pedro?
(Adriano Mendes, volta, precisamos das tuas sempre oportunas relembranças!!!)
Erguemos, assim, as nossas taças e lá festejamos os tão almejados 60!
Obrigado Zé Pedro, Pissarra, Manuel Domingues e Carlos Diogo acompanhados das suas mulheres.

Da esquerda para a direita: Fernanda, mulher de Manel, Lurdes, mulher de Carlos, Fernanda, mulher de Mário e Dina mulher de Pedro.

Da esquerda para a direita, Filomena, mulher de António, Fernanda, mulher de Manel e Dina, mulher de Pedro.

Da esquerda para a direita: a Tia Teresinha e Maria do Céu, a prima, que confeccionou a tigelada.

Da esquerda para a direita: Lurdes, mulher de Carlos e Luisa, irmã de António.

 


Uma conversa um pouco mais rápida, que a maquineta que agora utilizamos não se aguenta nas canetas do youtube!!!
Abraços!

antónio colaço

 



publicado por animo às 22:11
link do post | comentar | favorito

NOVO DIA NOVA IMAGEM . escreve Tó Manel

Ontem, era o milho a cair para ser triturado.

Hoje, é a transformação em farinha.
Saúde.
Tó Manel


publicado por animo às 00:03
link do post | comentar | favorito

Segunda-feira, 27 de Agosto de 2012
ABRANTES QUE SEJA TARDE....

Mais do que a celebração da "comunidade abrantina", estas imagens parecem chorar sobre as chamas que quase destruiram o coração da história abrantina lá mais em cima no Castelo.

Quando as recolhemos ainda não o sabíamos!

 

 

 


Nas encostas da incendiada Abrantes, extasiado com o espreguiçar de um rio como há muito não vejo.

Vem, Tejo, possam as tuas "frescas e abundantes águas" limpar da cidade as tantas mágoas que rolam como revoltadas lágrimas por esta encosta abaixo.
Como foi possível?

antónio colaço

 

em edição

 

 

 



publicado por animo às 23:29
link do post | comentar | favorito

Domingo, 26 de Agosto de 2012
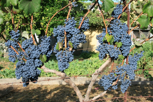
NOVO DIA NOVA IMAGEM . escreve Tó Manel

NR- Belíssimas uvas como que a quererem marcar lugar para Alcains 2013....

 

Bom dia,

"NOVO DIA, NOVA IMAGEM".
As vindimas estão à porta e algumas videiras estão como a da foto.
(No Vale Pelóme Cimeiro, a seca fez alguns estragos. Vamos ver como sai a "pinguinha"...).
Saúde.
Tó Manel


publicado por animo às 15:20
link do post | comentar | favorito

pesquisar
 
Junho 2016
Dom
Seg
Ter
Qua
Qui
Sex
Sab

1
2
3
4

5
6
7
8
9
10
11

12
14
16
17
18

19
20
21
22
23

26
28
29


posts recentes

ANIMUS DE LUGAR DE ENCONT...

ESTÁ TUDO DITO

ANIMUS O FIM há sete anos...

VEM AÍ A "ANIMUS SEMPER" ...

ANIMUS SEMPER escreve ant...

comasalpcb@gmail.com O E...

O RESPEITO NÃO SE DECRETA...

DAS ELIMINAÇÕES A CAMINHO...

ESTE BLOG TERMINA NO FINA...

NUNCA ACEITAREI REGRAS SA...

arquivos

Junho 2016

Maio 2016

Abril 2016

Março 2016

Fevereiro 2016

Janeiro 2016

Dezembro 2015

Novembro 2015

Outubro 2015

Setembro 2015

Agosto 2015

Julho 2015

Junho 2015

Maio 2015

Abril 2015

Março 2015

Fevereiro 2015

Janeiro 2015

Dezembro 2014

Novembro 2014

Outubro 2014

Setembro 2014

Agosto 2014

Julho 2014

Junho 2014

Maio 2014

Abril 2014

Março 2014

Fevereiro 2014

Janeiro 2014

Dezembro 2013

Novembro 2013

Outubro 2013

Setembro 2013

Agosto 2013

Julho 2013

Junho 2013

Maio 2013

Abril 2013

Março 2013

Fevereiro 2013

Janeiro 2013

Dezembro 2012

Novembro 2012

Outubro 2012

Setembro 2012

Agosto 2012

Julho 2012

Junho 2012

Maio 2012

Abril 2012

Março 2012

Fevereiro 2012

Janeiro 2012

Dezembro 2011

Novembro 2011

Outubro 2011

Setembro 2011

Agosto 2011

Julho 2011

Junho 2011

Maio 2011

Abril 2011

Março 2011

Fevereiro 2011

Janeiro 2011

Dezembro 2010

Novembro 2010

Outubro 2010

Setembro 2010

Agosto 2010

Julho 2010

Junho 2010

Maio 2010

Abril 2010

Março 2010

Fevereiro 2010

Janeiro 2010

Dezembro 2009

Novembro 2009

Outubro 2009

Setembro 2009

Agosto 2009

Julho 2009

Junho 2009

Maio 2009

Abril 2009

Março 2009

Fevereiro 2009

Janeiro 2009

links
subscrever feeds